Nowy plac zabaw w Mościcach
W Mościcach powstanie nowy plac zabaw. Będzie to przestrzeń do zabawy zarówno dla maluchów, jak i dla starszych dzieci. Właśnie rozstrzygnięto przetarg na wykonanie tej inwestycji.
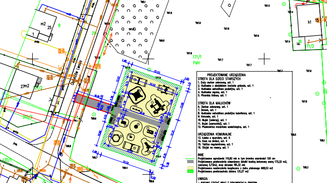
Plac zabaw znajdować się będzie na skwerze Kazimierza Ożgi, na działce przy ul. Norwida i ul. Obrońców Lwowa, nieopodal IV Liceum Ogólnokształcącego. Jak można przeczytać w opisie inwestycji, obecnie teren ten nie jest zagospodarowany. Jest to grunt porośnięty krzewami, drzewami oraz trawami. Na placu zabaw powstaną dwie strefy – dla dzieci starszych oraz dla maluchów. Pierwsza z nich składać się będzie z dużego zestawu zabawowego. Taki zestaw zawierać będzie cztery wieże, pomost wiszący, dwie ściany przeplotni liniowej, czyli tzw. kratownicę, tunel, dwa ślizgi zjeżdżalni, drabinki (w tym linowe) oraz ścianę wspinaczkową. Starsze dzieci będą mogły skorzystać z huśtawki z siedziskiem typu bocianie gniazdo, z tradycyjnej huśtawki, czyli wahadłowej (dwa stanowiska) i wagowej. Zamontowana zostanie też piramida linowa, po której będzie można się wspinać.
W strefie dla maluchów również ma znaleźć się duży zestaw zabawowy, dostosowany do umiejętności najmłodszych użytkowników. Ma zawierać zadaszoną wieżę ze zjeżdżalnią, podestami wejściowymi i rurą strażacką. W zestawie ma znaleźć się pionowa ścianka wspinaczkowa, przeplotnia typu kratownica oraz dwa niskie drążki gimnastyczne. W tej strefie dzieci będą mogły bawić się także w zadaszonym domku, na ścianie będzie zamontowana gra w „kółko i krzyżyk” oraz uchwyty wspinaczkowe. Tu również najmłodsi, nawet niemowlęta, będą mogli być bujani na specjalnych huśtawkach z kubełkowym siedzeniem. W projekcie znalazła się też karuzela, dwa bujaki – samochód i zwierzę. W tej strefie nie zabraknie piaskownicy, która ma mieć kształt sześciokąta.
Na terenie placu zabaw zaplanowano również elementy małej architektury. Będą tam ławki z oparciem, kosze na śmieci, stojak na rowery. Plac zabaw zostanie ogrodzony, a nawierzchnia terenu ma być bezpieczna dla małych użytkowników, m.in. wykonana ze żwiru płukanego. Planowane są także nasadzenia roślin i drzew. Posadzone zostaną tam kasztanowce, wiśnie, głogi, tawuły, lawenda i kosodrzewina.
Do przetargu zgłosiło się ośmiu wykonawców. Wygrała firma, która zaproponowała najniższą kwotę, czyli niemal 290 tys. złotych.
(ww)



